Description
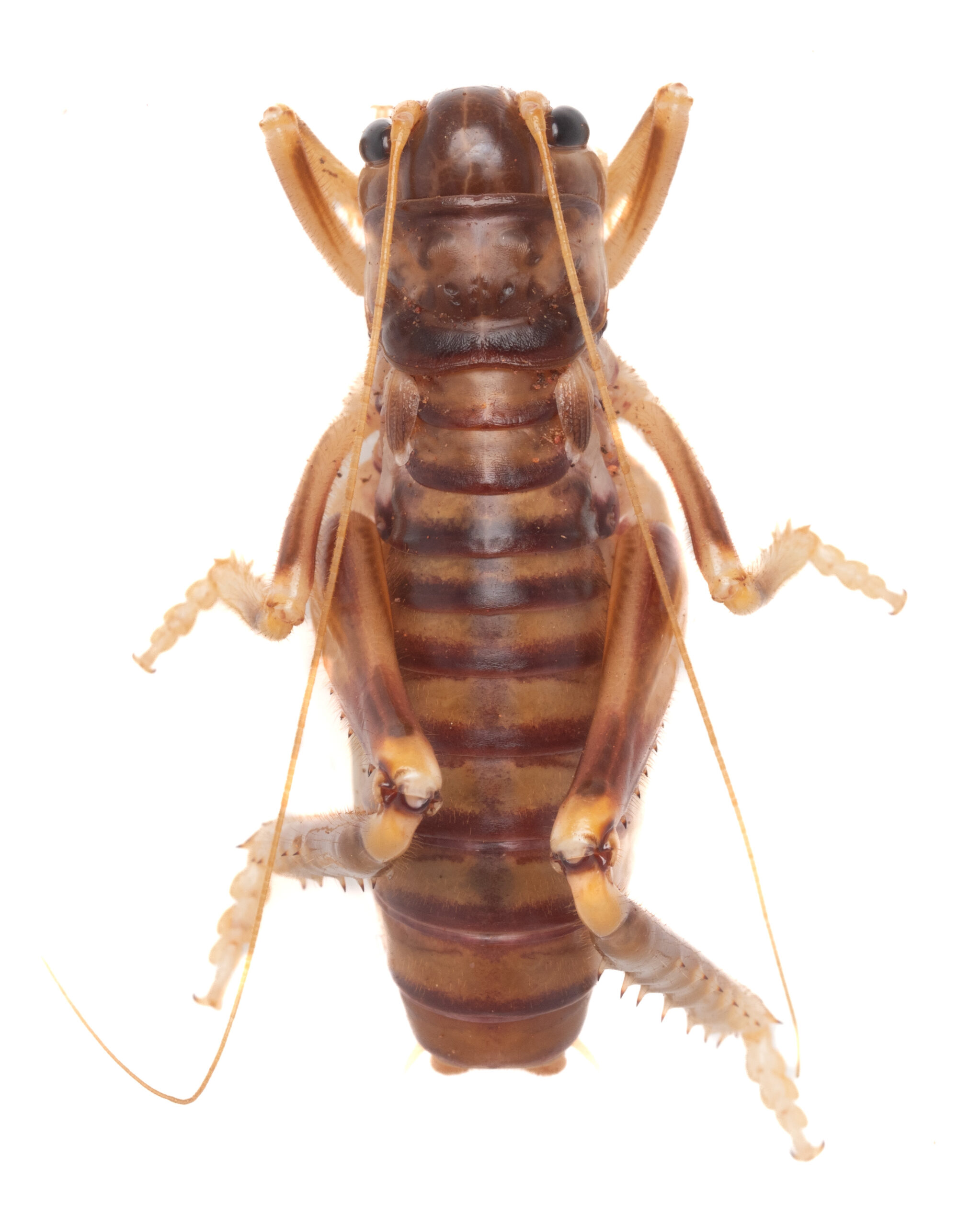
This is a large raspy cricket species found on the arid plains of South Australia. During the day they shelter inside abandoned spider burrows and emerge at night to hunt other insects. When disturbed they will hiss loudly and attack furiously, as raspy crickets have the strongest bite force of any insect.







Reviews
There are no reviews yet